Sort Option
- Price
- Bedrooms
- Bathrooms
- Lot Size
- Newest
- Featured
- Price Type
Grid
List
Land
52 East Rd, Orange, Massachusetts
9Picture(s)
27.27Acre
Over 27 acres with a fully approved plan to build 10 duplexes! This is your chance to step into a fully approved project and bring it to reality! Perc tests in hand as well as signed building plans/designs.
$449,900
Land
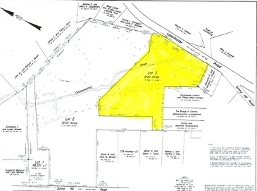
Lot 3 Leominster Road, Lunenburg, Massachusetts
1Picture(s)
8Acre
Discover the perfect opportunity to build your dream home on this approved 8-acre building lot in desirable Lunenburg, MA. With town water and sewer already in place and the betterment fully paid, this property is shovel ready for its next owner. Tucked away in a peaceful setting yet conveniently located near local amenities, this large lot offers both privacy and flexibility.
$150,000
Land
150 Hazel St, Uxbridge, Massachusetts
2Picture(s)
1.70Acre
Still looking for the ideal home? Private location on Hazel Street to build your dream home in the Blackstone Valley. This property is zoned RB, and meets town requirements(frontage and square footage) to be a buildable lot. Wooded with a lot of potential, close to Rt 146 - 20 minutes to Providence and Worcester. Buyer to perform all due diligence to get buildable lot approved.
$99,000
Land
815 Somerville Ave, Cambridge, Massachusetts
20Picture(s)
0.24Acre
Presenting 815 Somerville Avenue, an exceptional redevelopment opportunity located in the heart of Porter Square, Cambridge, Massachusetts. 815 Somerville Ave is a three-story brick building comprised of 27,824 gross square feet and18 garage parking spaces.
$13,000,000
Land
0 Oak Ridge Dr, Charlton, Massachusetts
2Picture(s)
0.39Acre
Waterfront lot on peaceful 80 acre Prindle Lake with approx. 100-/+ feet of frontage and desirable southern exposure. Enjoy sun-filled days with light reflecting across the water and soft evening colors at sunset. Prindle Lake is known for its quiet, non-motorized setting, where residents enjoy swimming, fishing, sailing, canoeing, kayaking, paddle boating, and windsurfing.
$95,000
Land
25 Basket St, Huntington, Massachusetts
8Picture(s)
0.50Acre
Spring has a way of making people start thinking about fresh starts, and this ready-to-go lot might be exactly that. Exceptional ½-acre cleared building lot in Huntington with utilities already at the site, including water, sewer, and electric.
$60,000
Land
3 Deacon Farm Ln, Gloucester, Massachusetts
21Picture(s)
0.32Acre
Opportunity abounds with this 0.32 acre plot of buildable land in a highly desirable area of Gloucester near Annisquam and Goose Cove with easy access to Downtown, renowned ocean beaches, Dogtown Common, as well as Rte 127 and the Commuter Rail station.
$410,000
Land
Lot 40C Winchendon Road, Ashburnham, Massachusetts
1Picture(s)
8.89Acre
Developers take notice: 8.89 Acres with 724' of road frontage. Set in R-B and potentially 3 frontage lots. Located in an area of other fine homes. Zone information is an attached document.
$197,500
Land
11 Dyer St, Fall River, Massachusetts
6Picture(s)
0.16Acre
Prime development opportunity! This approved parcel is zoned for four townhouse units, offering a rare chance for builders and investors to create a high-demand project. Located on a quiet dead-end street, the property provides privacy while being just steps from the commuter rail with direct access to Boston—ideal for future homeowners seeking convenience.
$389,000
Land
148 Flaherty Rd, Barre, Massachusetts
11Picture(s)
1.50Acre
Build Your Dream Home in Scenic Barre – Foundation & Septic Already in Place! Dreaming of building your own home in the beautiful town of Barre? This 1.5-acre lot offers a rare opportunity surrounded by nature, with the Prince River Preserve located just across the street and Fish & Game conservation land all around—perfect for outdoor enthusiasts and nature lovers alike.
$160,000
Land
Lot 10 Lynch Way, Swansea, Massachusetts
7Picture(s)
0.22Acre
Swansea’s Newest Residential Development! Welcome to this exclusive 12-lot cul-de-sac subdivision offering town water, natural gas, and underground electric. Home footprints are designed not to exceed 48’ wide by 30’ deep, creating a cohesive and thoughtfully planned neighborhood.
$239,900
Land
210 Bay Rd, Norton, Massachusetts
24Picture(s)
262.31Acre
Fairland Farm is a 262± acre working cranberry farm set within the Taunton River watershed. The property includes 117± acres of active/recent cranberry bogs planted with Stevens, Howes, and Early Blacks, with potential for expansion. Infrastructure supports efficient operations, including seven pump houses, a central utility building, and comprehensive water management systems.
$3,000,000











