Get Natick and Metrowest Listings and Market Information

Work with Robb Enterprises real estate to buy, sell, or lease property that is right for you

  • Properties
    • For Rent
    • For Sale
    • Vacation Rental
    • Commercial
  • Specialty Properties
    • Natick New Construction
    • Natick Waterfront
    • Apartments for Rent in Natick MA 01760
    • Section 8 Advertised Properties
  • Agents
  • Compare
  • Blog
  • Contact Us

Properties

  • 246 Walnut St, Reading, Massachusetts, 3 Bedrooms Bedrooms, 7 Rooms Rooms,1 BathroomBathrooms,Residential,For Sale,Walnut St,73407978
  • 246 Walnut St, Reading, Massachusetts, 3 Bedrooms Bedrooms, 7 Rooms Rooms,1 BathroomBathrooms,Residential,For Sale,Walnut St,73407978
Property Description

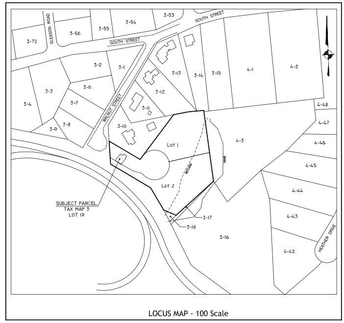
Developer Alert – 2 Approved Buildable Lots in Prime Reading Location! While there is an existing single-family home on-site, the true value lies in the land. Builders & developers—capitalize on this rare opportunity in high-demand Reading. This offering includes two fully buildable lots with approved site plans and modification approvals for overhead utilities, berm, and a 16’ privacy fence: Lot 1: 27,895 sq. ft. and Lot 2: 20,058 sq. ft. Approved for a 4,500 sq. ft. home on each lot, with potential to build up to 5,500 sq. ft. including finished basement. All major approvals in place: Approved subdivision & site plans; Decision of Approvals & Order of Condition; Utility access (electric, public water/sewer at street). Exceptional location – Minutes to downtown Reading, commuter rail, and I-93. Documentation available upon request: Site plans, layouts, permits & building plans and more!

Features
Heating System:
Oil, Baseboard
Cooling System:
No
Sewer:
Public Sewer
Style:
Cape
Water:
Public
Disclosure
Garage Parking
Lead Paint:
Unknown
Additional Information
Market Time:
221
Parking Spaces:
20
Tax Year:
2025
Status:
Active
Price Per Sqft:
$505
Zoning:
S20
Orig Price:
$998,000
Fireplaces:
1
Waterfront:
No
MlsStatus:
Active
Address Map
City:
Reading
State:
MA
County:
Middlesex
Postal Code:
01867
Longitude:
W72° 53' 0''
Latitude:
N42° 30' 12.9''
  • Google Map

Residential

246 Walnut St, Reading, Massachusetts

3 Bedrooms
1 Total Bathrooms
1,584 Sqft
$800,000
Listing ID #73407978
Basic Details
Property Type :
Residential
Listing Type :
For Sale
Price :
$800,000
Bedrooms :
3
Rooms :
7
Total Bathrooms :
1
Full Bathrooms :
1
Square Footage :
1,584 Sqft
Year Built :
1961
Lot Area :
2.02 Acre
Listing ID :
73407978
  • Share on Facebook
  • Share on Twitter
  • Share on Pinterest
  • PDF
  • Send to Friend
  • Request a Visit
Agent info
Robb Enterprises
  • Stephen E. Robb
  • View website
  • 617-212-0251
  • srobb@robbenterprises.com

Contact Agent

The property listing data and information set forth herein were provided to MLS Property Information Network, Inc. from third party sources, including sellers, lessors and public records, and were compiled by MLS Property Information Network, Inc. The property listing data and information are for the personal, non commercial use of consumers having a good faith interest in purchasing or leasing listed properties of the type displayed to them and may not be used for any purpose other than to identify prospective properties which such consumers may have a good faith interest in purchasing or leasing. MLS Property Information Network, Inc. and its subscribers disclaim any and all representations and warranties as to the accuracy of the property listing data and information set forth herein.

Similar Properties

Residential

Residential

34 Plymouth Rd, Reading, Massachusetts

More
Residential

Residential

1010 Gazebo Circle, Reading, Massachusetts

More
Residential

Residential

355 South Street, Reading, Massachusetts

More
26 Lothrop Road, Reading, Massachusetts, 3 Bedrooms Bedrooms, 7 Rooms Rooms,2 BathroomsBathrooms,Residential,For Sale,Lothrop Road,73492550

Residential

26 Lothrop Road, Reading, Massachusetts

More
33 Old Farm Rd, Reading, Massachusetts, 4 Bedrooms Bedrooms, 8 Rooms Rooms,3.5 BathroomsBathrooms,Residential,For Sale,Old Farm Rd,73492332

Residential

33 Old Farm Rd, Reading, Massachusetts

More
45 Longview Road, Reading, Massachusetts, 3 Bedrooms Bedrooms, 11 Rooms Rooms,2.5 BathroomsBathrooms,Residential,For Sale,Longview Road,73492197

Residential

45 Longview Road, Reading, Massachusetts

More
25 Wakefield St, Reading, Massachusetts, 3 Bedrooms Bedrooms, 8 Rooms Rooms,2 BathroomsBathrooms,Residential,For Sale,Wakefield St,73492099

Residential

25 Wakefield St, Reading, Massachusetts

More
29 Louanis Drive, Reading, Massachusetts, 4 Bedrooms Bedrooms, 8 Rooms Rooms,2.5 BathroomsBathrooms,Residential,For Sale,Louanis Drive,73491908

Residential

29 Louanis Drive, Reading, Massachusetts

More
Realtyna

Copyright © 2026