Get Natick and Metrowest Listings and Market Information

Work with Robb Enterprises real estate to buy, sell, or lease property that is right for you

  • Properties
    • For Rent
    • For Sale
    • Vacation Rental
    • Commercial
  • Specialty Properties
    • Natick New Construction
    • Natick Waterfront
    • Apartments for Rent in Natick MA 01760
    • Section 8 Advertised Properties
  • Agents
  • Compare
  • Blog
  • Contact Us

Properties

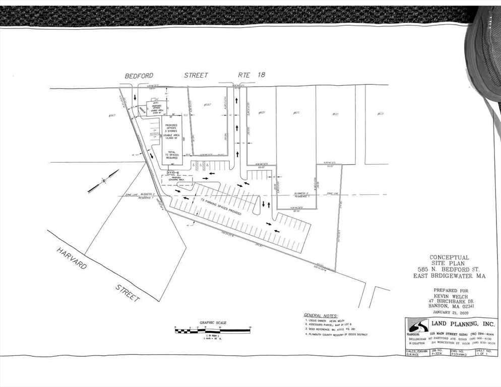
  • 585 N Bedford St, East Bridgewater, Massachusetts, ,Land,For Sale,N Bedford St,73395496
Property Description

Great opportunity for a potential commercial building on busy RT 18 with high traffic count. Situated on 1.73 acres is a conceptual design totaling 14,520 total square feet of commercial office space, one potential residential unit, and 73 parking spaces with separate entrance and exit.

Features
Sewer:
Private Sewer
Water:
Public
Disclosure
Electric Feature:
On-site
Gas:
At Street
Additional Information
Market Time:
71
Tax Year:
2022
Status:
Active
Zoning:
B2
Orig Price:
$499,000
Waterfront:
No
MlsStatus:
Active
Address Map
City:
East Bridgewater
State:
MA
County:
Plymouth
Postal Code:
02333
Longitude:
W71° 2' 45.7''
Latitude:
N42° 2' 57.5''
  • Google Map

Land

585 N Bedford St, East Bridgewater, Massachusetts

75,359 Sqft
$499,000
Listing ID #73395496
Basic Details
Property Type :
Land
Listing Type :
For Sale
Price :
$499,000
Square Footage :
75,359 Sqft
Lot Area :
1.73 Acre
Listing ID :
73395496
  • Share on Facebook
  • Share on Twitter
  • Share on Pinterest
  • PDF
  • Send to Friend
  • Request a Visit
Agent info
Robb Enterprises
  • Stephen E. Robb
  • View website
  • 617-212-0251
  • srobb@robbenterprises.com

Contact Agent

The property listing data and information set forth herein were provided to MLS Property Information Network, Inc. from third party sources, including sellers, lessors and public records, and were compiled by MLS Property Information Network, Inc. The property listing data and information are for the personal, non commercial use of consumers having a good faith interest in purchasing or leasing listed properties of the type displayed to them and may not be used for any purpose other than to identify prospective properties which such consumers may have a good faith interest in purchasing or leasing. MLS Property Information Network, Inc. and its subscribers disclaim any and all representations and warranties as to the accuracy of the property listing data and information set forth herein.

Similar Properties

848 North Bedford St Phase Iv, Bridgewater, Massachusetts, ,Land,For Sale,North Bedford St Phase Iv,73497137

Land

848 North Bedford St Phase Iv, Bridgewater, Massachusetts

More
848 North Bedford St Phase Iii, Bridgewater, Massachusetts, ,Land,For Sale,North Bedford St Phase Iii,73497142

Land

848 North Bedford St Phase Iii, Bridgewater, Massachusetts

More
848 North Bedford St Phase Ii, Bridgewater, Massachusetts, ,Land,For Sale,North Bedford St Phase Ii,73497138

Land

848 North Bedford St Phase Ii, Bridgewater, Massachusetts

More
Land

Land

425 Winter Street, Lot 1e, East Bridgewater, Massachusetts

More
848 North Bedford St, East Bridgewater, Massachusetts, ,Land,For Sale,North Bedford St,73487682

Land

848 North Bedford St, East Bridgewater, Massachusetts

More
848 North Bedford St Phase Iv, Bridgewater, Massachusetts, ,Land,For Sale,North Bedford St Phase Iv,73487680

Land

848 North Bedford St Phase Iv, Bridgewater, Massachusetts

More
848 North Bedford St Phase Iii, Bridgewater, Massachusetts, ,Land,For Sale,North Bedford St Phase Iii,73487678

Land

848 North Bedford St Phase Iii, Bridgewater, Massachusetts

More
126-130 Franklin Street, East Bridgewater, Massachusetts, ,Land,For Sale,Franklin Street,73452985

Land

126-130 Franklin Street, East Bridgewater, Massachusetts

More
Realtyna

Copyright © 2026