Get Natick and Metrowest Listings and Market Information

Work with Robb Enterprises real estate to buy, sell, or lease property that is right for you

  • Properties
    • For Rent
    • For Sale
    • Vacation Rental
    • Commercial
  • Specialty Properties
    • Natick New Construction
    • Natick Waterfront
    • Apartments for Rent in Natick MA 01760
    • Section 8 Advertised Properties
  • Agents
  • Compare
  • Blog
  • Contact Us

Properties

  • 888 Turnpike Street, Canton, Massachusetts, ,Land,For Sale,Turnpike Street,73354839
  • 888 Turnpike Street, Canton, Massachusetts, ,Land,For Sale,Turnpike Street,73354839
  • 888 Turnpike Street, Canton, Massachusetts, ,Land,For Sale,Turnpike Street,73354839
  • 888 Turnpike Street, Canton, Massachusetts, ,Land,For Sale,Turnpike Street,73354839
  • 888 Turnpike Street, Canton, Massachusetts, ,Land,For Sale,Turnpike Street,73354839
Property Description

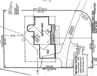
1.8 Acres (78,408 sq ft) Commercial Land located in high traffic area, busy Rt 138 in Canton! Excellent location, many possibilities! Traffic studies state that there are over 24K vehicles per day. All offers considered! Per discussions with town, max. lot coverage by right is 40%, potentially more after site plan review (40% of the total 78,408 sq ft lot means the property could support a building up to 31,363.2 sq ft). There is currently a 560 sq ft single car garage, ~1 empty trailer back, and some tires on premises. Buyer must conduct their own due diligence, no warranties or guarantees. Being offered as is w/ due diligence period. No permits in place; Will not be sold subject to permitting. At time of closing, property will be delivered cleared of all liens and encumbrances from proceeds of the sale. Plot plan, Town Map, 21E attached.

Features
Sewer:
Other
Water:
Other
Electric Feature:
Other (see Remarks)
Gas:
Other (see Remarks)
Additional Information
Market Time:
361
Tax Year:
2024
Status:
Active
Zoning:
LI
Orig Price:
$1,300,000
Waterfront:
No
MlsStatus:
Active
Address Map
City:
Canton
State:
MA
County:
Norfolk
Postal Code:
02021
Longitude:
W72° 53' 35.6''
Latitude:
N42° 9' 21.4''
  • Google Map

Land

888 Turnpike Street, Canton, Massachusetts

78,408 Sqft
$1,100,000
Listing ID #73354839
Basic Details
Property Type :
Land
Listing Type :
For Sale
Price :
$1,100,000
Square Footage :
78,408 Sqft
Lot Area :
1.80 Acre
Listing ID :
73354839
  • Share on Facebook
  • Share on Twitter
  • Share on Pinterest
  • PDF
  • Send to Friend
  • Request a Visit
Agent info
Robb Enterprises
  • Stephen E. Robb
  • View website
  • 617-212-0251
  • srobb@robbenterprises.com

Contact Agent

The property listing data and information set forth herein were provided to MLS Property Information Network, Inc. from third party sources, including sellers, lessors and public records, and were compiled by MLS Property Information Network, Inc. The property listing data and information are for the personal, non commercial use of consumers having a good faith interest in purchasing or leasing listed properties of the type displayed to them and may not be used for any purpose other than to identify prospective properties which such consumers may have a good faith interest in purchasing or leasing. MLS Property Information Network, Inc. and its subscribers disclaim any and all representations and warranties as to the accuracy of the property listing data and information set forth herein.

Similar Properties

106 Indian Ln, Canton, Massachusetts, ,Land,For Sale,Indian Ln,73487796

Land

106 Indian Ln, Canton, Massachusetts

More
Lot 35 Turnpike St, Canton, Massachusetts, ,Land,For Sale,Turnpike St,73266537

Land

Lot 35 Turnpike St, Canton, Massachusetts

More
Realtyna

Copyright © 2026