Get Natick and Metrowest Listings and Market Information

Work with Robb Enterprises real estate to buy, sell, or lease property that is right for you

  • Properties
    • For Rent
    • For Sale
    • Vacation Rental
    • Commercial
  • Specialty Properties
    • Natick New Construction
    • Natick Waterfront
    • Apartments for Rent in Natick MA 01760
    • Section 8 Advertised Properties
  • Agents
  • Compare
  • Blog
  • Contact Us

Properties

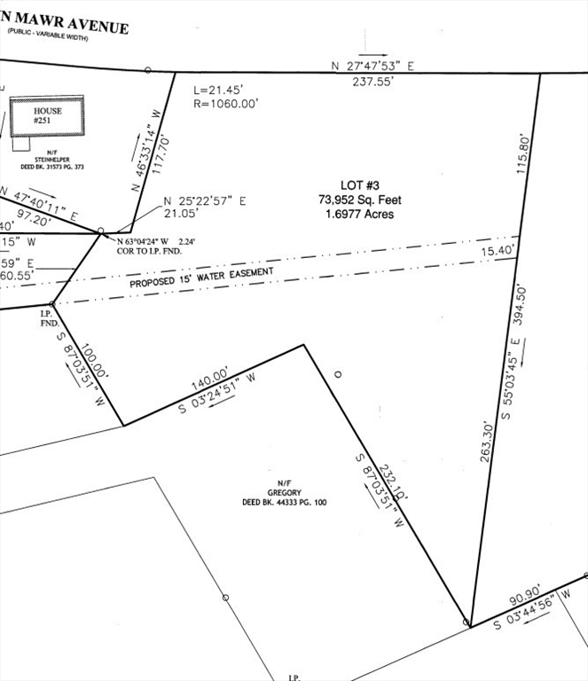
  • Lot 3 Leicester St., Auburn, Massachusetts, ,Land,For Sale,Leicester St.,73503735
Property Description

Rare opportunity to acquire a large buildable lot in a convenient Auburn location. Situated between and behind 160–166 Leicester Street, with additional access potential from Bryn Mawr, this parcel offers flexibility for builders, developers, or end users.Lot 3 consists of approximately 73,952 sq ft (1.70 acres) and is offered at $124,900. With its size and depth, the lot provides excellent potential for a variety of residential uses (buyer to perform due diligence).Additional land is available, as Lots 2 and 4 abut this parcel and may be purchased together or separately, offering expanded opportunities for those seeking more acreage.Conveniently located near major routes, shopping, and local amenities, while still offering a private, tucked-away setting. A great opportunity in a desirable Auburn location.

Features
Sewer:
At Street, Private Sewer, Public Sewer
Water:
Private, Public
Disclosure
Electric Feature:
At Street
Gas:
No
Additional Information
Grade School:
Bryn Mawr
High School:
Ahs
Middle School:
Ams
Tax Year:
2026
Status:
Active
Zoning:
0
Orig Price:
$124,900
Waterfront:
No
MlsStatus:
New
Address Map
City:
Auburn
State:
MA
County:
Worcester
Postal Code:
01501
Longitude:
W72° 6' 46.9''
Latitude:
N42° 9' 48.1''
  • Google Map

Land

Lot 3 Leicester St., Auburn, Massachusetts

4.88 Acre
$124,900
Listing ID #73503735
Basic Details
Property Type :
Land
Listing Type :
For Sale
Price :
$124,900
Lot Area :
4.88 Acre
Listing ID :
73503735
  • Share on Facebook
  • Share on Twitter
  • Share on Pinterest
  • PDF
  • Send to Friend
  • Request a Visit
Agent info
Robb Enterprises
  • Stephen E. Robb
  • View website
  • 617-212-0251
  • srobb@robbenterprises.com

Contact Agent

The property listing data and information set forth herein were provided to MLS Property Information Network, Inc. from third party sources, including sellers, lessors and public records, and were compiled by MLS Property Information Network, Inc. The property listing data and information are for the personal, non commercial use of consumers having a good faith interest in purchasing or leasing listed properties of the type displayed to them and may not be used for any purpose other than to identify prospective properties which such consumers may have a good faith interest in purchasing or leasing. MLS Property Information Network, Inc. and its subscribers disclaim any and all representations and warranties as to the accuracy of the property listing data and information set forth herein.

Similar Properties

Lot 4 Leicester St., Auburn, Massachusetts, ,Land,For Sale,Leicester St.,73503737

Land

Lot 4 Leicester St., Auburn, Massachusetts

More
Lot 2 Leicester St., Auburn, Massachusetts, ,Land,For Sale,Leicester St.,73503732

Land

Lot 2 Leicester St., Auburn, Massachusetts

More
Lots 2, 3, 4 Leicester St., Auburn, Massachusetts, ,Land,For Sale,Leicester St.,73503728

Land

Lots 2, 3, 4 Leicester St., Auburn, Massachusetts

More
137 South Street, Auburn, Massachusetts, ,Land,For Sale,South Street,73488006

Land

137 South Street, Auburn, Massachusetts

More
Realtyna

Copyright © 2026