Get Natick and Metrowest Listings and Market Information

Work with Robb Enterprises real estate to buy, sell, or lease property that is right for you

  • Properties
    • For Rent
    • For Sale
    • Vacation Rental
    • Commercial
  • Specialty Properties
    • Natick New Construction
    • Natick Waterfront
    • Apartments for Rent in Natick MA 01760
    • Section 8 Advertised Properties
  • Agents
  • Compare
  • Blog
  • Contact Us

Properties

  • 24 Road Ahr, Uxbridge, Massachusetts, ,Land,For Sale,Road Ahr,73496972
  • 24 Road Ahr, Uxbridge, Massachusetts, ,Land,For Sale,Road Ahr,73496972
Property Description

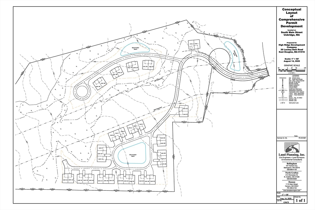
23 +/- Acres of residential zoned developable land located off of South Main St (RT 122). The land is in an Age Restricted Overlay District that allows for construction of townhouse style, duplex and triplex housing for persons age 55+. Great development opportunity! Town water and sewer, along with electricity is available at the street. Attached concept plan shows how 40 units could be laid out on the site. Land is mostly high and dry with some wetlands. No recent site engineering has been done. Buyers to perform their own due diligence.

Features
Sewer:
At Street
Water:
At Street
Electric Feature:
At Street
Gas:
At Street
Additional Information
Market Time:
4
Tax Year:
2026
Status:
Active
Zoning:
RES3
Orig Price:
$375,000
Waterfront:
No
MlsStatus:
Active
Address Map
City:
Uxbridge
State:
MA
County:
Worcester
Postal Code:
01569
Longitude:
W72° 22' 22.1''
Latitude:
N42° 4' 14.9''
  • Google Map

Land

24 Road Ahr, Uxbridge, Massachusetts

23 Acre
$375,000
Listing ID #73496972
Basic Details
Property Type :
Land
Listing Type :
For Sale
Price :
$375,000
Lot Area :
23 Acre
Listing ID :
73496972
  • Share on Facebook
  • Share on Twitter
  • Share on Pinterest
  • PDF
  • Send to Friend
  • Request a Visit
Agent info
Robb Enterprises
  • Stephen E. Robb
  • View website
  • 617-212-0251
  • srobb@robbenterprises.com

Contact Agent

The property listing data and information set forth herein were provided to MLS Property Information Network, Inc. from third party sources, including sellers, lessors and public records, and were compiled by MLS Property Information Network, Inc. The property listing data and information are for the personal, non commercial use of consumers having a good faith interest in purchasing or leasing listed properties of the type displayed to them and may not be used for any purpose other than to identify prospective properties which such consumers may have a good faith interest in purchasing or leasing. MLS Property Information Network, Inc. and its subscribers disclaim any and all representations and warranties as to the accuracy of the property listing data and information set forth herein.

Similar Properties

150 Hazel St, Uxbridge, Massachusetts, ,Land,For Sale,Hazel St,73493453

Land

150 Hazel St, Uxbridge, Massachusetts

More
Realtyna

Copyright © 2026